Prodej pozemku Staňkov/Třeboňsko

Prodej pozemku Staňkov/Třeboňsko
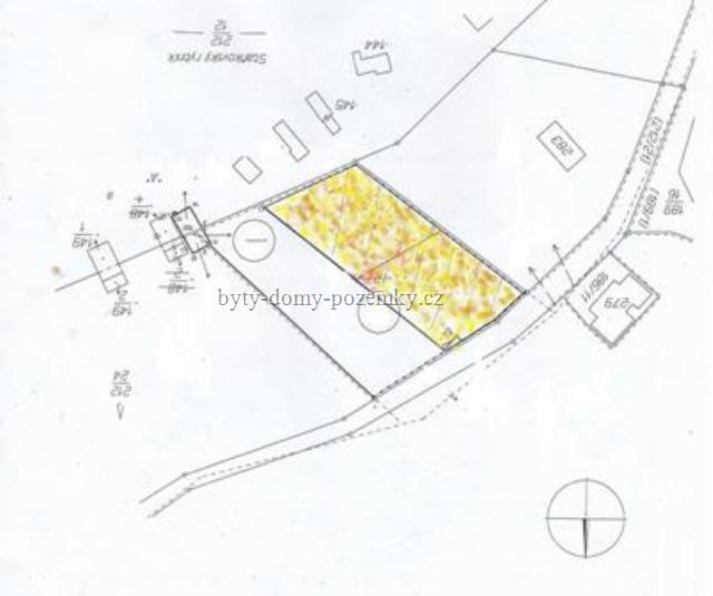
Lokalita:okres Jindřichův Hradec, na břehu rybníka Staňkov
Na prodej:0 Kč
850,- Kč/m2
Plocha pozemku:2000 m2
Realitní kancelář Agentura reality Třeboň nabízí prodej výjimečného pozemku o výměře 2000 m2 na břehu Staňkovského rybníka 2 km od Chlumu u Třeboně. Plocha přístupná z místní obslužné komunikace je součástí přírodního (les, vzrostlá zeleň, louka) rekreačně využívaného území kempu na západním břehu rybníka. Jižní okraj pozemku navazuje přímo na jeho hranici, což umožňuje uživatelům přímí „vstup do vody“. Parcela disponuje přípojkami inž. sítí (voda, kanalizace, el. energie).

Zakázkové číslo:P0141
Kontakt na makléře:Marie Lukešová, 775 99 98 97
Kontakt na prodejce/RK:Agentura Reality Třeboň

Agentura Reality Třeboň

Dukelská 133, Třeboň
tel.: 775 99 98 97
email: reality@trebon.cz kontaktní formulář
 
Inzerát zapsán:2. 2. 2010
Zobrazení:3100x
Sdílet:Bookmark and Share
* Podpořte tento bezplatný server a při kontaktu s prodejcem uveďte, že jste jeho nabídku nalezli na BYTY-DOMY-POZEMKY.cz. Děkujeme!

Zobrazit kompletní nabídku prodejce | Kontaktovat prodejce | Poslat emailem | Vytisknout leták