St.pozemek v osadě Vyšný u Českého Krumlova.SLEVA!

St.pozemek v osadě Vyšný u Českého Krumlova.SLEVA!
Lokalita:okres Český Krumlov, Český Krumlov
Na prodej:1 200 000 Kč
1200000,-
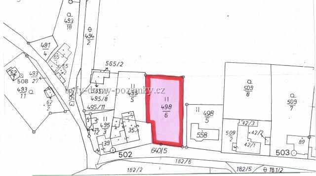
Plocha pozemku:1578 m2
Velmi pěkný pozemek v osadě Vyšný, 2 km od Českého Krumlova, nedaleko restaurace, jihozápadní svah.U pozemku jsou inženýrské sítě - voda, el. energie, kanalizace;plyn ve Vyšném není zaveden.K dispozici je projektová dokumentace a platné stavební povolení.Výměra: 1 578 m2
Zakázkové číslo:620P
Kontakt na makléře:Reality Krumlov, 724 108 357, realitykrumlov@seznam.cz
Kontakt na prodejce/RK:

Reality Krumlov

U Poráku 512( AMBIT), Český Krumlov
tel.: 602 398 333, 724 108 357
email: realitykrumlov@atlas.cz kontaktní formulář
web: www.realitykrumlov.com
 
Inzerát zapsán:19. 11. 2009
Zobrazení:1693x
Sdílet:Bookmark and Share
* Podpořte tento bezplatný server a při kontaktu s prodejcem uveďte, že jste jeho nabídku nalezli na BYTY-DOMY-POZEMKY.cz. Děkujeme!

Zobrazit kompletní nabídku prodejce | Kontaktovat prodejce | Poslat emailem | Vytisknout leták